See all 47 photos
Listed by Made Out West Land Company, LLC
-
Est. payment /mo
80 Acres Lot
Active
SE Phelps Mountain LN #TL1200 Silverton, OR 97381
REQUEST A TOUR If you would like to see this home without being there in person, select the "Virtual Tour" option and your agent will contact you to discuss available opportunities.
In-PersonVirtual Tour

UPDATED:
Key Details
Property Type Vacant Land
Sub Type Forest
Listing Status Active
Purchase Type For Sale
MLS Listing ID 369776559
HOA Y/N No
Annual Tax Amount $262
Tax Year 2025
Lot Size 80.000 Acres
Property Sub-Type Forest
Property Description
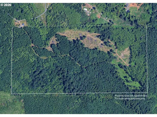
Discover a premier opportunity to own a timber tract tucked away in the scenic foothills of the Cascades. Located just 13 miles southeast of Silverton and a short 6-mile drive from the iconic Silver Falls State Park, this property combines secluded natural beauty with investment potential. This property features a multi-generational timber profile designed for staggered, steady income. The inventory includes: Merchantable Timber: 8+ acres of prime 60-year-old ± Douglas-fir. Pre-Merch: 22± Acres of 35-year Doug-fir. Growing Stock: Approximately 19 acres of healthy Douglas-fir 26 years old, providing excellent mid-term growth. Next Generation: 9 acres recently logged in 2023, ready for reforestation to kickstart the next cycle of value. Variety: There is about 15 acres of red alder. With level to gentle sloping topography, the property is suited for cost-effective ground-based logging. Site Index 122: Good soils ensures healthy tree development. Infrastructure: A dirt road loops through the property with branching spurs, providing easy hikeable access during wet conditions and drivable during dry. Beyond the balance sheet, the property offers stunning territorial views of the surrounding forested mountains and the deer trails are abundant. It is a true retreat, offering the peace and quiet of the Oregon wilderness while remaining only 25 miles from the amenities of Salem and Stayton. Whether you are looking to diversify your portfolio with a tangible asset or seeking a private forest retreat, this Marion County gem is ready for its next steward. Marion Woods is being offered in a Sealed Bid Auction with bids due by 04/20/26 by 4pm. Contact a Broker for a copy of the bid packet and to explain the process if you're unfamiliar. Shown by appointment. Access is by easement 2 miles behind a locked gate over private roads. Property is unlikely to be approved for residential use. Buyer to do their own due diligence. No Seller financing.
Location
State OR
County Marion
Area _170
Zoning TC
Exterior
Utilities Available None
Waterfront Description Seasonal
View Mountain, Territorial, Trees Woods
Garage No
Building
Lot Description Merchantable Timber, Private, Reproduced Timber, Secluded, Trees, Wooded
Schools
Elementary Schools Silver Crest
Middle Schools Silver Crest
High Schools Silverton
Others
Acceptable Financing Cash, FarmCreditService
Listing Terms Cash, FarmCreditService
Virtual Tour https://youtu.be/nEk6_4Zv7as

NEARBY SCHOOLS & PROPERTIES
GET MORE INFORMATION





